Editoria Mundo

/17038mundo120918.jpg
Equipe da ONU diz que governo da Síria voltou a usar arma química

Segundo investigadores, forças do governo sírio dispararam gás cloro em áre...

/17028mundo110918.jpg
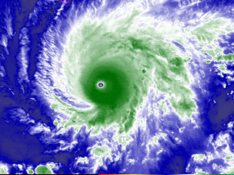
Um milhão de pessoas devem deixar Carolina do Sul por furacão Florence

Governador ordenou evacuação obrigatória a partir do meio-dia de terça. Fur...

/17015mundo100918.jpg
Rússia acusa EUA de lançarem bombas de fósforo contra Síria; Pentágono nega

Ataques aéreos teriam visado o vilarejo de Hajin, o último grande reduto do...

/17006mundo070918.jpg
Londres acusa Putin de ser responsável pelo envenenamento de ex-espião em março

Polícia britânica divulgou nomes e fotos de dois suspeitos russos. Segundo ...

/16993mundo050918.png
Morre apresentadora da BBC que anunciou ter poucos dias de vida

Rachael Bland, de 40 anos, foi diagnosticada com câncer de mama em 2016 e, ...

/16987mundo040918.jpg
ONG diz que Rússia atacou enclave rebelde de Idlib, na Síria

ONU já alertou para risco de crise humanitária na província de Idlib, últim...

/16975mundo030918.jpg
A ´guerra civil´ na Igreja Católica que pode abalar pontificado do papa Francisco

Visão de Igreja mais liberal do atual pontífice tem enfrentado oposição de ...

/16967mundo310818.jpg
Deputada estadual alemã é expulsa de plenário por levar seu bebê

Política leva filho de seis semanas ao parlamento estadual da Turíngia e é ...

/16954mundo300818.jpg
´Fui estuprada por vários policiais´: as mulheres que acusam o México de tortura sexual

Espera-se que, nos próximos meses, a Corte Interamericana de Direitos Human...

/16945mundo290818.png
Putin ameniza proposta de reforma da previdência após protestos

Presidente russo defendeu a necessidade de reforma, mas recuou na idade pro...

/16939mundo280818.png
Brasileira afirma que foi submetida a maus-tratos por autoridades da Nicarágua

Documentarista Emilia Mello,que também tem cidadania norte-americana,foi de...

/16924naregiao270818.png
Monções deixam 1,2 mil mortos na Índia e países vizinhos em 2018

Índia registrou mais de 1000 mortes. Nepal teve 87 mortes......

/16919mundo250818.jpg
Migrantes a bordo de navio começam greve de fome; Salvini minimiza protesto

Cerca de 150 migrantes foram resgatados no Mediterrâneo e, desde segunda-fe...

/16912mundo240818.jpg
Terremoto atinge o Peru e é sentido no Brasil

Epicentro do tremor de magnitude de 7,1 foi registrado perto da fronteira c...

/16899mundo230818.png
Satélites indicam que Coreia do Norte parou com desmonte de local de testes

Imagens de 16 de agosto indicam que trabalho de demolição na Estação de Lan...

/16891mundo2208.png
Furacão Lane categoria 5 na trajetória para o Havaí

Ele passará muito perto ou sobre as principais ilhas havaianas entre quinta...

/16883mundo210818.png
O Japão está pedindo que os trabalhadores tirem uma manhã de segunda-feira de folga

Governo quer incentivar consumo e combater excesso de trabalho, problema qu...

/16871mundo200818.png
Por que as mulheres do país com natalidade mais baixa do mundo não querem ter filhos?

Cada vez mais aumenta a parcela de mulheres jovens da Coreia do Sul que que...

/16859mundo180818.jpg
Trump anuncia ida a evento em Paris após adiar parada militar em Washington

Trump anuncia ida a evento em Paris após adiar parada militar em Washington...

/16857mundo170818.jpg
Kim Jong-un critica sanções desonestas

Declaração acontece em um momento em que Washington tenta manter a pressão ...

Nós usamos cookies e outras tecnologias semelhantes para melhorar a sua experiência em nossos serviços, personalizar publicidade e recomendar conteúdo de seu interesse. Ao utilizar nossos serviços, você concorda com tal monitoramento. Informamos ainda que atualizamos nossa

Estou de acordo